Centennial Fields

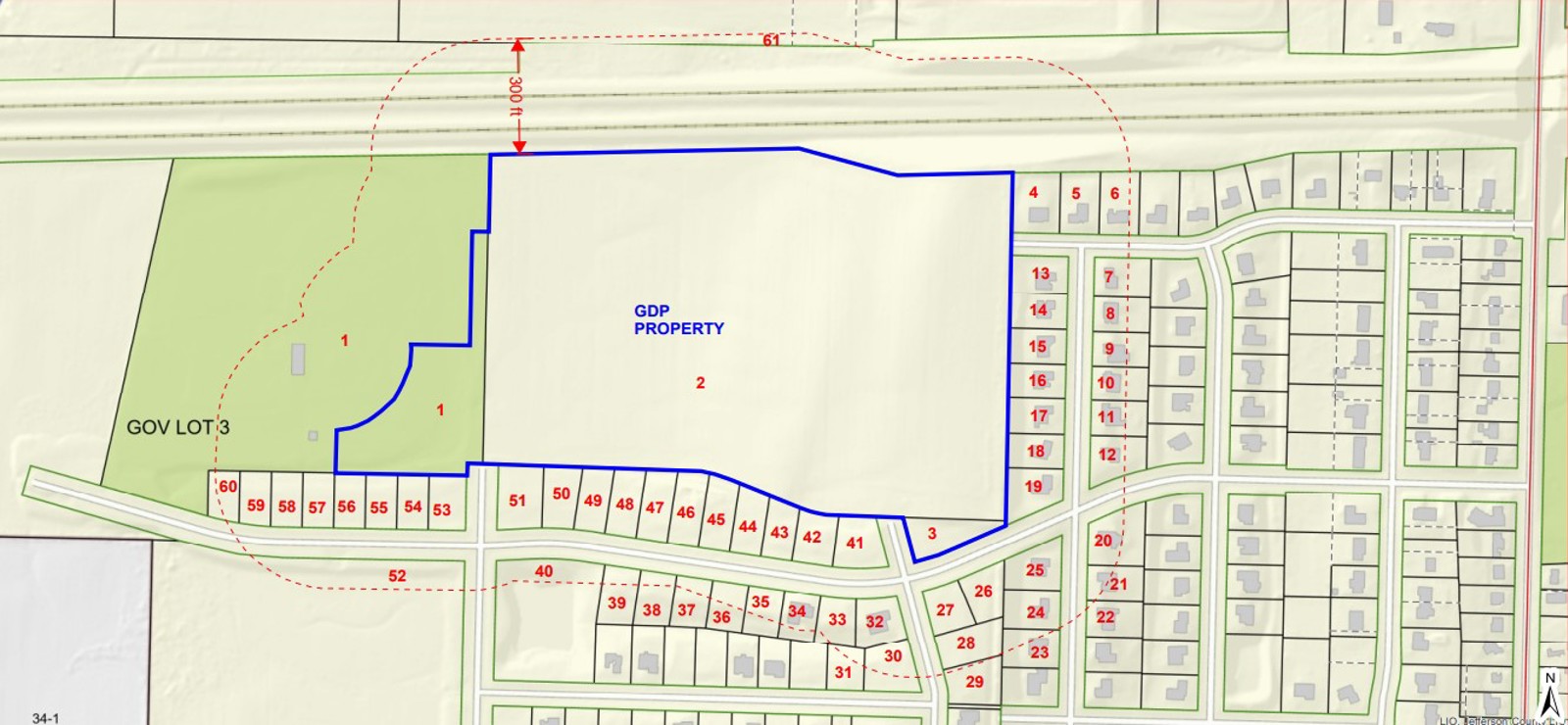
For those looking to build or buy a single-family home, Centennial Fields is an exciting new subdivision planned by Kaerek Homes and its partners. Located just east of Centennial Park and north of Midge Street, this development will expand the residential area that began with Morse Farms and continue north toward the interstate—an area already designated for single-family housing in the Village’s long-term growth plans.

Once complete, Centennial Fields will feature 70 new single-family home lots, offering new opportunities for homeowners in a well-connected and thoughtfully planned neighborhood.

Centennial Fields